Flamingo Snorkeling Catalinas Islands
Flamingo Snorkeling Tour to Catalinas Islands
Flamingo Snorkeling Tour to Catalinas Islands – A world-famous dive location that snorkelers and divers flock to, especially during the season for Giant Manta Rays. We’ll take you on an underwater adventure looking for sharks, octopus and a huge variety of marine fish we have living in our pacific waters. In the right season, you can even sometimes hear humpbacks singing!
Flamingo Snorkeling Tour to Catalinas Islands
Discover the Underwater Wonderland: Snorkeling Adventures Await in the Enchanting Las Catalinas Islands!
This early morning snorkeling adventure to the Catalina Islands begins with pickup at 6:40 AM from Langosta and Tamarindo. If you prefer to meet us directly, check-in is at 6:50 AM at our dive center, where we will get you fitted with the proper equipment before boarding our boat in Tamarindo.
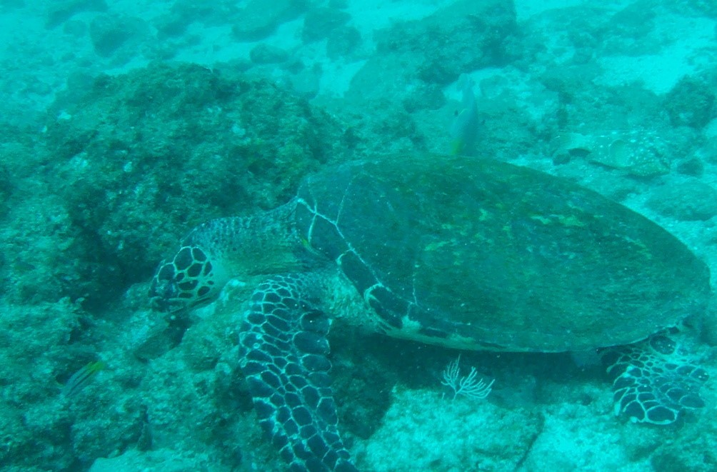
After a scenic 45-minute boat ride, we arrive at the stunning Catalina Archipelago—one of Costa Rica’s top snorkeling destinations. Here, you’ll have the opportunity to encounter an incredible variety of marine life, including sea turtles, pufferfish, dolphins, eagle rays, reef sharks, manta rays, and more.
On the way, one of our experienced guides will provide a safety briefing and explain what you can expect to see in the water. You’ll then enjoy your first snorkeling session (approximately 45 minutes), exploring the vibrant underwater world
Between snorkeling sessions, you’ll be served a selection of fresh tropical fruits and juices, providing the perfect energy boost for your underwater adventures. Our professional guides are on hand to enhance your experience, sharing insights and pointing out fascinating aquatic creatures along the way.
Afterward, we’ll make our way back to Tamarindo, arriving between 11:30 AM and 12:00 PM.
Transportation Info
Your pick up schedule will be sent to you upon booking. Below are general pick up times.
Self-Drive
- You will need to meet us at 6:50 am @ Tamarindo Diving Center – your maps link to the meeting point will be sent in your confirmation after you book
We include transportation from hotels, condos, houses in the following areas:
- 6:40 am Tamarindo & Langosta
Additional Transportation Fees
- Hacienda Pinilla/JW Marriott: $100 (1-8 pax) / $130 (9-15 pax)
- W/Westin Conchal $100 (1-8 pax) / $130 (9-15 pax)
- Playa Grande: $100 (1-8 pax) / $130 (9-15 pax)
- Flamingo/Poterero $100 (1-8 pax) / $130 (9-15 pax)
Special Notes
- We provide fruit and water on the boat, however there is no meal included.
- Even if you don’t generally get sea sick, we recommend taking something to help alleviate those symptoms. It is always better to prevent this from happening.
- $60 Rider fee – this is for anyone who just wants to ride the boat and not snorkel or scuba.
- In an effort to eliminate single-use plastic bottles on our tours, please bring a reusable water bottle.
- Not recommended for participants with heart complaints or other serious medical conditions
- We operate this tour rain or shine!
Cancellation Policy
-
Departure/Return Location
Tamarindo -
Return Time
1:00 PM -
Dress Code
Bathing suit, towel, sunscreen -
Included
EquipmentGuideSnacksTransportationWater -
Not Included
Breakfast, Lunch or DinnerDrinksFlashlightsLunchOpen Bar
